الأحد, 16 ذو القعدة 1447 هجريا, 3 مايو 2026 ميلاديا.
مواقيت الصلاة

مواقيت الصلاه بحسب التوقيت المحلى لمدينة المدينة المنورة ليوم الأحد, 16 ذو القعدة 1447هـ

الفجر
04:21 ص
الشروق
05:45 ص
الظهر
12:19 م
العصر
03:46 م
المغرب
06:52 م
العشاء
08:22 م

أخر الأخبار |

نحر والده بالسكين.. تنفيذ حكم القتل تعزيرًا في “نواف الزهراني” بمكة

​وسط مشاركة حكومية وأهلية.. رئيس مركز الحليفة العليا منيف بن شميلان يدشن أعمال “القرية الخضراء” (صور)

ارفع رأسك أنت سعودي.. خالد الفيصل مسيرة قيم فكرٍ تصوغ ملامح وطن

“حلوة الجوف” يزرع الفرح في قلوب ضيوف الرحمن بهدايا وترحيب دافئ

قاد 3 منها للصعود.. أندية الجوف تكرم “الشرطان”

50 % للنفقة.. قانوني يكشف فلسفة الاستقطاع من الراتب في نظام التنفيذ الجديد (شاهد)

ضوابط منع السفر في نظام التنفيذ الجديد.. المحامي عبدالله البرادي يوضح (شاهد)

تقنيات حديثة وكوادر مؤهلة.. الأرصاد ترفع جاهزيتها لخدمة الحجاج

​الترحيل والمنع من دخول المملكة 10 سنوات بانتظار مخالفي أنظمة الحج

​تريند اليوم.. وصول مزاد “بعير” إلى 6.1 مليون ريال وسط ذهول الحاضرين (شاهد)

​من 68 إلى 467 ميجاوات.. المملكة الثانية عالمياً في جاذبية مراكز البيانات بعد الولايات المتحدة

برعاية الهيئة الملكية للجبيل وينبع… “التصوير الاحترافي” يرسم ملامح جيل إعلامي مبدع ضمن مبادرات “الشرقية تُبدع”

محليات

المسند : عاصفة مدارية تصاحب كتلة هوائية في الصومال تدفعها إلى المملكة

المسند : عاصفة مدارية تصاحب كتلة هوائية في الصومال تدفعها إلى المملكة
https://www.alshaamal.com/?p=128317
تم النشر في: 23 نوفمبر، 2020 2:07 ص                                    
38411
0
aan-morshd
صحيفة الشمال الإلكترونية
aan-morshd

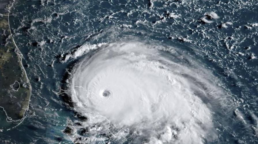
توقع أستاذ المناخ بقسم الجغرافيا في جامعة القصيم عبدالله المسند، أن تجلب العاصفة المدارية التي يشهدها شرق الصومال كتلة هوائية علوية مفعمة بالرطوبة، على أن تدفعها ناحية أجواء المملكة.  

ولفت إلى أن العاصفة المدارية شرق الصومال تتحول وتتطور إلى إعصار من الدرجة الثانية تحت مسمى “إعصار جاتي”، وتتجه غرباً بسرعة دورانية تقدر بنحو 167 كم/ س لتضرب اليابس الصومالي. 

التعليقات (٠) أضف تعليق

أضف تعليق

بريدك الالكترونى لن نقوم بأستخدامه.

You may use these HTML tags and attributes:
<a href="" title=""> <abbr title=""> <acronym title=""> <b> <blockquote cite=""> <cite> <code> <del datetime=""> <em> <i> <q cite=""> <s> <strike> <strong>